Home
> Earthquake
Earthquake
Target Philippines: Haiyan the Latest Typhoon in Long History of Natural Destruction
Philippines ravaged by thousands of killer storms over half a century
Hannah Osborne Nov 11, 2013
Typhoon 'Yolanda' Haiyan: Eye-witnesses Describe Survivors 'Foraging Like Zombies'
Philippines president Benito Aquino vows to send in army to keep order as desperate survivors of Typhoon Haiyan loot shops.
Mark Piggott Nov 10, 2013
First Images of Typhoon Yolanda Landfall: 12 Million in Path of Destruction [PHOTOS, VIDEOS]
Typhoon Haiyan batters Philippines as 12 million people remain in path of destruction.
Vasudevan Sridharan Nov 08, 2013
Monster Typhoon Yolanda Landfall Wreaks Havoc in Philippines
Typhoon Haiyan/Yolanda batters Philippines with sustained winds of up to 235km/h and threatens to turn into world's most powerful tropical cyclone.
Vasudevan Sridharan Nov 08, 2013
Typhoon Yolanda: Philippines Evacuates 150,000 Villagers
Thousands of people evacuate villages in central Philippines ahead of one strongest typhoons of 2013.
Toyin Owoseje Nov 07, 2013
Philippines Hunkers Down as Yolanda Gets Stronger Before Landfall: Track Typhoon Path, Rescue and Evacuation
The strongest and the most dangerous storm of the year will make landfall on Philippine coast on Friday, packing winds far more powerful than super typhoon Pablo that killed 1,000 people.
Arjun Varma Nov 07, 2013
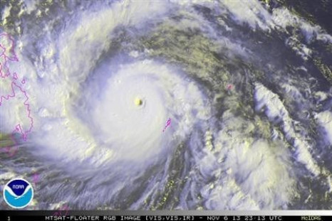
Typhoon Yolanda, More Powerful Than Killer Storm Pablo, to Hit Philippines
Eye of Yolanda, which is turning into super storm, over Pacific Ocean.
Vasudevan Sridharan Nov 06, 2013
Gas War Fears Sum Up Why Labour's Energy Price Pledges Are Plain Wrong
Britain needs to tackle energy security through investment and storage capabilities to bring down prices.
Lianna Brinded Oct 29, 2013
Mexico Cholera Outbreak Less than 250 Miles from US Border
WHO confirms five more cases of cholera as outbreak creeps closer to Texas.
Hannah Osborne Oct 29, 2013
Yellowstone Super Volcano Threatens Two Thirds of USA
Scientists say lake of molten rock underneath Yellowstone National Park is 80km long and 20km wide.
Hannah Osborne Oct 29, 2013
South Korea's LNG Import Costs Could Soar on Nuclear Power Reduction
More LNG imports are expected to cost economy additional $20bn per year by 2035, according to Reuters.
Jerin Mathew Oct 28, 2013
Stricken Fukushima Power Plant Shaken by New Quake and Tsunami
No damage yet reported after 'large' earthquake beneath seabed 370km from stricken nuclear plant
Mark Piggott Oct 26, 2013
Japan's Meiji to Exit China's Infant Milk Market
Stiff competition and rising raw material costs impact sales.
M Rochan Oct 25, 2013
South America Cholera Outbreak Heading Towards US
Outbreak which started in Haiti now ravaging Mexico - and experts warn of 'global threat to health'.
Hannah Osborne Oct 24, 2013
Israel Fears Massive Earthquake after Series of Mild Tremors
Northern Israel struck by five mild tremors in less than a week raising concerns.
Vasudevan Sridharan Oct 22, 2013
Japan Records 15th Straight Monthly Trade Deficit as Weak Yen Inflates Import Bills
Trade deficit for September rose64% year over year to 932bn yen.
Jerin Mathew Oct 21, 2013
Japanese Industry to Hoard Gains From Shinzo Abe's Corporate Tax Cut
Government wants firms to invest in technology and raise salaries.
M Rochan Oct 18, 2013
Russian Meteorite: Largest Chelyabinsk Lump Found at Bottom of Lake Chebarkul
Scientists faced tough conditions bringing up meteor from lake in the Urals.
Dominic Gover Oct 16, 2013
Philippines Earthquake: Death Toll Reaches 144 as Images of Devastation Emerge [PHOTOS]
7.2-magnitude quake ravages central island of Bohol, while Cebu and Siquijor provinces decimated.
Umberto Bacchi Oct 16, 2013
Philippines Earthquake: Patients Trapped under Collapsed Hospital as Death Toll Reaches 93 [GRAPHIC PHOTOS]
7.2-magnitude quake ravages central island of Bohol, while Cebu and Siquijor provinces decimated.
Umberto Bacchi Oct 15, 2013
20 Killed in Philippines Earthquake
Buildings and churches ruined in major tourist spot Bohol Island and Cebu.
Jijo Jacob Oct 15, 2013
Japan's Current Account Surplus Plunges as Public Debt Fears Loom
Current account surplus declined 63.7% on year to 161.5bn yen.
Jerin Mathew Oct 08, 2013
4,000-Year-Old Brain Boiled in its Own Juices Discovered in Turkey
Undecomposed boiled brain of human discovered inside skull of charred body at Kutahya.
Hannah Osborne Oct 07, 2013
Pakistan's Earthquake Island Captured on Space Lens [PHOTOS]
Nasa's Earth Observing-1 satellite captures images of island formed in Arabian Sea after Pakistan earthquake.
Sanskrity Sinha Oct 01, 2013
Japanese Banks Provide $5.9bn Lifeline to Fukushima Operator Tepco
Tokyo Electric Power (Tepco) expected to receive funds in December
M Rochan Sep 30, 2013
Pakistan Earthquake: At Least 12 Killed in Latest Tremors
A powerful new earthquake has struck southwestern Pakistan, an area already trying to recover from a quake that killed more than 300 people.
Fiona Keating Sep 28, 2013
Golden Dawn Threatens to Pull out MPs and Trigger Destabalising Elections
Neo-Nazi group leader threatens 'political earthquake' over police clampdown following Killah P murder.
Tom Porter Sep 27, 2013
Nuclear Plant Operator Tepco Seeks to Restart Reactors Post-Fukushima Earthquake
Governor of Japan's Niigata prefecture gave nod to apply for restarting Kashiwazaki Kariwa plant.
Jerin Mathew Sep 27, 2013
Peru Earthquake Upgraded amid Warnings of 'Sea Level Changes'
No tsunami warning after underwater quake off coast but higher tides expected.
Hannah Osborne Sep 25, 2013
Pakistan Earthquake: Death Toll Hits 265 and New Island Emerges in Arabian Sea [FIRST PHOTOS]
Geologists warn port town residents not to explore new land mass because of deadly gases.
Umberto Bacchi Sep 25, 2013
Pages
- PREV
- 4
- 5
- 6
- 7
- 8
- 9
- 10
- 11
- 12
- NEXT

